REQUEST A TOUR If you would like to see this home without being there in person, select the "Virtual Tour" option and your agent will contact you to discuss available opportunities.
In-PersonVirtual Tour

$ 43,500
Est. payment /mo
Active
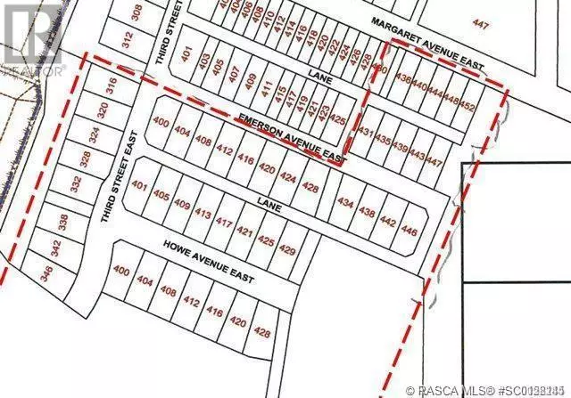
436 Margaret Avenue E Duchess, AB T0J0Z0
5,121 Sqft Lot
UPDATED:
Key Details
Property Type Vacant Land
Sub Type Freehold
Listing Status Active
Purchase Type For Sale
MLS® Listing ID SC0158145
Lot Size 5,121 Sqft
Acres 5121.0
Property Sub-Type Freehold
Source REALTORS® Association of South Central Alberta
Property Description
BUILD YOUR FUTURE! These lots are waiting for you to build your dream home. Fully serviced lots on various streets in the family friendly Village of Duchess. Take advantage of these affordably priced lots and enjoy the relaxed lifestyle of Duchess (id:24570)
Location
State AB
Rooms
Kitchen 0.0
Extra Room 1 Unknown Measurements not available Other
Exterior
Parking Features No
View Y/N No
Private Pool No
Building
Sewer Municipal sewage system
Others
Ownership Freehold
Virtual Tour https://www.team-advantage.ca/Listing/VirtualTour.ashx?ListingID=309357229







